선상조황 | <자연호> 주간 우럭 마무리 조황(14일)-즐낚하고 입항했습니다.
페이지 정보
작성자 최고관리자 작성일26-02-14 17:57 조회309회 댓글0건본문
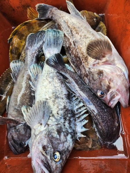
자연호 주간 우럭 마무리 조황(14일)
함께해주신 조사님들 수고하셨습니다..
새해 복 많이 받으세요~!
※어초,침선 우럭(종일)
매장집결 04시30분 ~ 오후3시 이후철수(중식제공) 선비 10~11만
※어초,침선 우럭(주간)
매장집결 04시30분~오후1시철수(컵라면제공) 선비 8만원
※우럭(주간)
매장집결 09시~오후3시철수(컵라면제공) 선비 6만원
※야간우럭
매장집결 17시 ~ 새벽1시 이후철수(컵라면제공) 선비 7만원
매장집결 18시30분 ~ 새벽1시 이후철수(컵라면제공) 선비 7만원
★☆★원낚시 선단 먼바다 어초,침선 우럭(종일,주간)/주간우럭/야간우럭/출조합니다 문의 바랍니다.★☆★
군산원낚시 www.1fishing.co.kr / 063 211-4082~3,
010-4656-1027 / 010-9054-0600
함께해주신 조사님들 수고하셨습니다..
새해 복 많이 받으세요~!
※어초,침선 우럭(종일)
매장집결 04시30분 ~ 오후3시 이후철수(중식제공) 선비 10~11만
※어초,침선 우럭(주간)
매장집결 04시30분~오후1시철수(컵라면제공) 선비 8만원
※우럭(주간)
매장집결 09시~오후3시철수(컵라면제공) 선비 6만원
※야간우럭
매장집결 17시 ~ 새벽1시 이후철수(컵라면제공) 선비 7만원
매장집결 18시30분 ~ 새벽1시 이후철수(컵라면제공) 선비 7만원
★☆★원낚시 선단 먼바다 어초,침선 우럭(종일,주간)/주간우럭/야간우럭/출조합니다 문의 바랍니다.★☆★
군산원낚시 www.1fishing.co.kr / 063 211-4082~3,
010-4656-1027 / 010-9054-0600
댓글목록
등록된 댓글이 없습니다.
